COOKEVILLE, TENNESSEE
116-170 S WILLOW AVE, COOKEVILLE, TN 38501
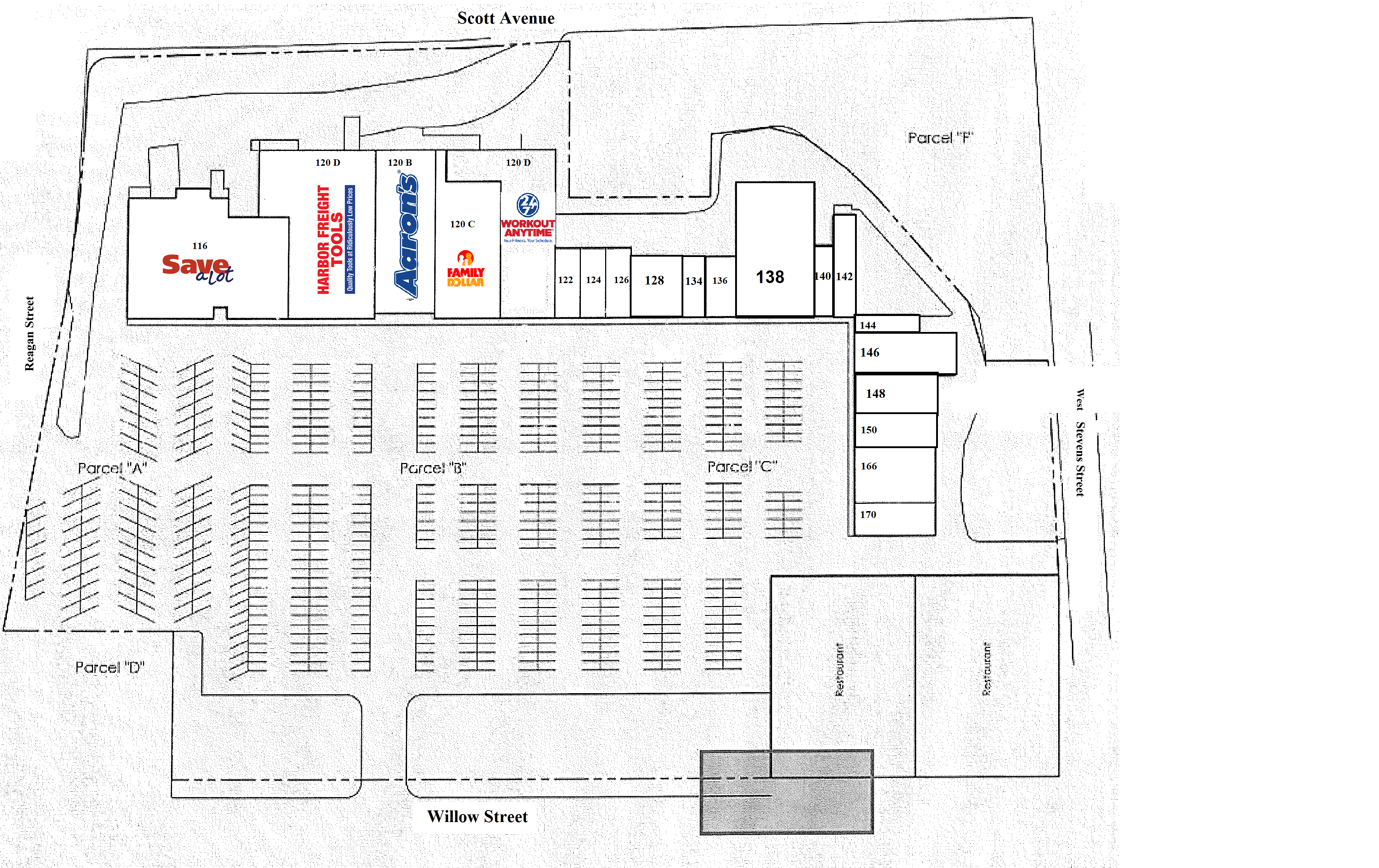
FOR LEASE
Willow Tree Plaza is located on South Willow Ave (Hwy 135), in Cookeville, Tennessee. The center is just south of the historic downtown, city center and Cookeville Regional Medical Center. Tennessee Tech University which has an enrollment of approximately 11,700 students is located just one mile north of the project. Cookeville, the County Seat of Putnam County grew at a rate of 27.2% between the year 2000 and 2010 and Putnam County grew by 16.1%.
COUNTY MAP
CITY MAP
LOCATION MAP




